26.11.2018

Merkur - Online-Artikel
22.02.2019
15.07.2019

Merkur - Online-Artikel
Bürger pochen auf zusätzliche Recycling-Container
Quelle: Merkur vom 15.07.2019
Zwei Familien stellen einen Antrag auf die Installation weiterer Wertstoffcontainer in Karlsdorf und in Forstern. Bezüglich Forstern verweist Bürgermeister Els auf den geplanten Neubau in Forstern im Gewerbegebiet. Für Karlsdorf müsste erst noch ein geeigneter Standort gefunden werden.
29.08.2019

Merkur - Online-Artikel
Tiefergelegte Container und mehr Platz für Autos: Recyclinghof zieht ins Gewerbegebiet
Quelle: Merkur vom 29.08.2019
Zusammenfassung
Der Recyclinghof der Gemeinde Forstern soll vom bisherigen Standort am Hirschbachweg in das Gewerbegebiet Am Steinfeld verlegt werden. Der Gemeinderat hat dieser Verlagerung bereits zugestimmt, nun muss noch der Strukturausschuss des Landkreises Erding offiziell zustimmen. Die Planungen sehen vor, den Wertstoffhof nicht nur räumlich zu verlagern, sondern auch funktional zu verbessern – mit tiefergelegten Containern, die das Befüllen leichter machen, besonders für ältere Menschen und Menschen mit Bewegungseinschränkungen.
Der Landkreis will sich nach Vereinbarung finanziell an der neuen Anlage beteiligen und die Umsetzung mit schätzungsweise 400.000 bis 500.000 Euro fördern. Die Gemeinde stellt den Baugrund und übernimmt die Planung und Ausführung. Zusätzlich wird die erforderliche Änderung des Flächennutzungs- und Bebauungsplans vorbereitet. Ziel der Verlagerung ist es, mehr Platz für Fahrzeuge und eine bessere Zugänglichkeit zu schaffen sowie die Situation am aktuellen Standort zu entspannen, der vor allem an Samstagen stark frequentiert ist.
18.09.2019
Der Strukturausschuss des Kreistags hat die Planungen abgesegnet.
29.10.2019

Gemeinderatssitzung
Der Gemeinderat hat in der Sitzung vom 29.10.2019 beschlossen, den Recyclinghof vom bisherigen Standort am Hirschbachweg in das Gewerbegebiet Forstern-Nord zu verlegen.
05.11.2019

Merkur - Online-Artikel
Tiefergelegte Container und mehr Platz: So wird der neue Forsterner Recyclinghof
Quelle: Merkur vom 05.11.2019
Planung läuft. Laut Bürgermeister Els erfolgen die Ausschreibungen im Winter 2019/2020. Die Eröffnung könnte im Herbst 2020 erfolgen.
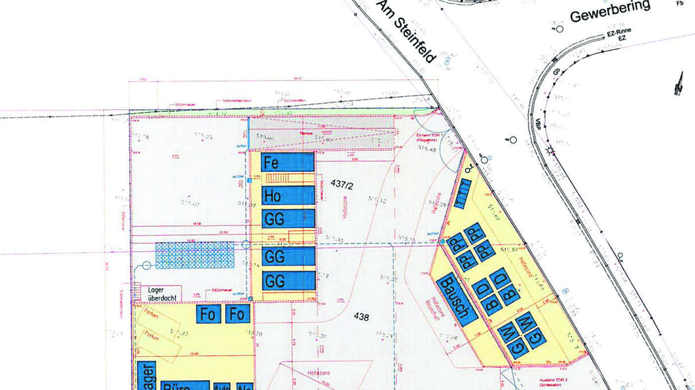
DIe folgende Skizze zeigt die aktuelle Planung:
10.11.2020
25.03.2022
Bürgerversammlung 2021
Für das Jahr 2022 sind 50.000 Euro im Haushalt eingeplant.
28.11.2022
Bürgerversammlung 2022
Für das Jahr 2023 sind 1 Mio Euro im Haushalt eingeplant.
Dezember 2022
LRA Erding:: “Zum Recyclinghofneubau: nach meinem Wissenstand sind in 2023 die Haushaltsmittel eingeplant, von Seiten des Landkreises kann die Maßnahme realisiert werden. Wir stehen hierzu bereits in Abstimmung mit dem Rathaus in Forstern und hoffen auf eine Umsetzung im kommenden Jahr.“
10.10.2023
25.11.2023
Bürgerversammlung 2023
Quelle: Präsentation zur Bürgerversammlung 2023
Für das Jahr 2024 sind 1,1 Mio Euro im Haushalt eingeplant.
02.12.2024
04.12.2024
Bürgerversammlung 2024
Quelle: Präsentation zur Bürgerversammlung 2024
Für das Jahr 2025 ist kein Budget im Haushalt eingeplant.
E scheint so, als wären die Investitionen für den Wertstoffhof nun Bestandteil der Investitionen für den geplanten Bauhof.
An der Planung eines neuen Wertstoffhofes wird nach wie vor festgehalten. Allerdings ist der ursprünglich vorgesehene Standort im Gewerbegebiet nicht mehr im Gespräch.
01.10.2025
15.10.2025
Quelle: Bekanntmachung der Gemeinde
Es wird wieder neu geplant. Der neue Bebauungsentwurf wird bei der Planungsverband Äußerer Wirtschaftsraum München beauftragt. Recyclinghof und Bauhof sollen nun kombiniert werden. Der neue Standort ist hinter dem Feuerwehrhaus.
21.10.2025

Gemeinderatssitzung
Quelle: Heimat Info
Es wird wieder neu geplant. Der neue Bebauungsentwurf wird bei der Planungsverband Äußerer Wirtschaftsraum München beauftragt. Recyclinghof und Bauhof sollen nun kombiniert werden. Der neue Standort ist hinter dem Feuerwehrhaus.
30.09.2025
29.11.2025
01.12.2025
09.12.2025

Merkur - Online-Artikel
Grünes Licht für neuen Recyclinghof beim Forsterner Feuerwehrhaus
Quelle: Merkur vom 09.12.2025
Zusammenfassung
Der für die Gemeinde Forstern geplante neue Recyclinghof soll nicht wie ursprünglich gedacht im Gewerbegebiet, sondern direkt hinter dem neuen Feuerwehrhaus entstehen. Der zuständige Kreisausschuss hat nun dem neuen Standort zugestimmt und damit den Weg frei gemacht für den gemeinsamen Bau von Recyclinghof und Bauhof auf einer Fläche — eine Lösung, die laut Gemeinde durch geänderte Bauvorschriften möglich wurde und weniger Versiegelung als am alten Standort verursacht.
Die Gesamtkosten für den neuen Recyclinghof (einschließlich Bauhof, Technik und Containereinheiten) werden auf rund 930 000 Euro geschätzt. Darüber hinaus übernimmt der Landkreis Personal, Unterhalt und Betrieb, während die Gemeinde die Erschließung der Zufahrtswege trägt. Der Recyclinghof soll, planmäßig ab Herbst 2026, sowohl barrierefreien Zugang zu den Containern als auch eine Besucher- und Logistikebene bieten — damit soll die Abfallentsorgung für die Bürger effizienter und komfortabler werden.




























